Projekty 2026 rozwiń menu
Projekt lokalny - Dzielnica VI NR 18:

Ogród Wiśniowy - Park Kieszonkowy

Brak zaakceptowanej zgody na wyświetlanie informacji zewnętrznych. (Mapa Google)

Edycja Budżet Obywatelski 2026 Projekt lokalny - Dzielnica VI Realizacja projektu odbywać się będzie w przestrzeni ogólnodostępnej.

450 000,00 PLN
kwota potrzebna do realizacji

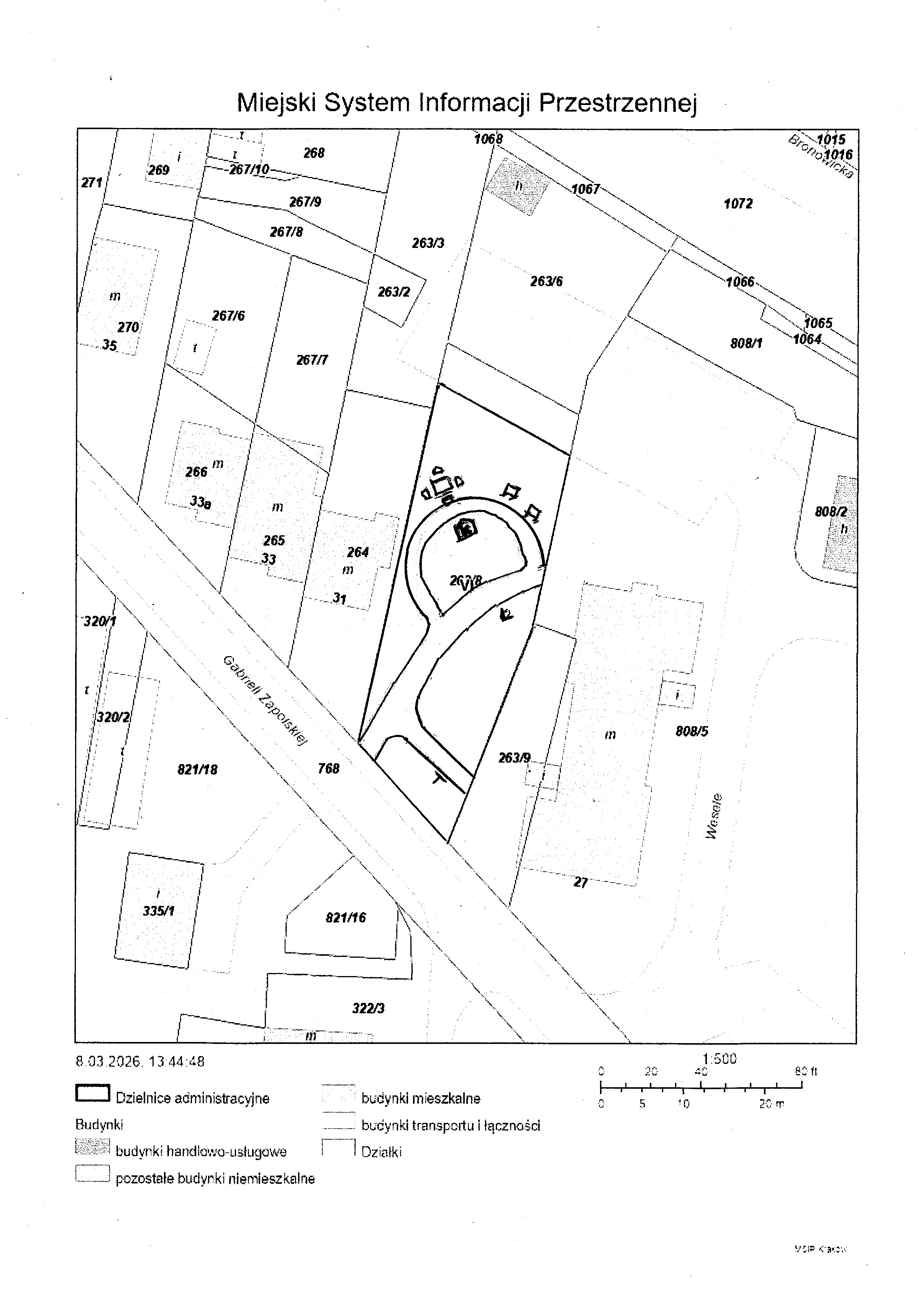
Lokalizacja

Główna lokalizacja: 263/8 obręb K-2 (Krowodrza)

Krótki opis projektu

Projekt zakłada stworzenie koncepcji i wykonanie ogólnodostępnego parku dla mieszkańców przy zachowaniu istniejących drzew. Realizacja projektu ma równocześnie umożliwić bezpieczne dojście na przystanek tramwajowy Wesele z osiedla Stańczyka.

Opis projektu

Na bazie drzew, któe znajdują się na terenie działki, takich jak wiśnie pospolite, orzechy włoskie, brzozy brodawkowate i wiśnia japońska proponujemy utworzyć park kieszonkowy  - mały ogród. W ramach projektu chcemy dokonać nasadzeń kilku rodzaju wiśni ozdobnych o różnym pokroju, bylin i roślin cebulowych kwitnących w różnym czasie, w formie rabat. Jako uzupełnienie funkcji parkowej proponujemy utworzyć 4 jednoosobowe miejsca do siedzenia (ławeczki), stół do gry w szachy wraz ze stołkami oraz budkę do wymiany książek. Projekt zakłada wymianę istniejącego słupa oświetleniowego na lampę parkową. 

Zadanie zostałoby wykonane na podstawie opracowanej przez Zarząd Zieleni Miejskiej dokumentacji projektowej. Autorki projektu wyrażają zgodę na zastosowanie alternatywnych rozwiązań nieprzewidzianych w tym projekcie w celu jego realizacji do wysokości wyznaczonych środków finanasowych. Docelowy projekt zagospodarowania terenu zostałby skonsultowany z autorkami projektu.

UZASADNIENIE PROJEKTU

  • utworzenie miejsca odpoczynku wśród zieleni na obszarze z dużym deficytem zieleni urządzonej
  • stworzenie bezpiecznego, szybkiego i funkcjonalnego przejścia na przystanek tramwajowy Wesele z osiedla mieszkaniowego przy ul. Stańczyka
  • Integracja społeczności lokalnej poprzez instalację budki służącej wymianie książek oraz stolika do gry w szachy

Liczba planowanych uczestników biorących udział w projekcie

Projekt zakłada stworzenie przestrzeni ogólnodostępnej dla wszystkich mieszkańców

Opis procesu rekrutacji

Projekt zakłada stworzenie przestrzeni ogólnodostępnej dla wszystkich mieszkańców

Uzasadnienie potwierdzające spełnienie przez projekt kryterium ogólnodostępności

Projekt zakłada stworzenie przestrzeni ogólnodostępnej na działce miejskiej dla wszystkich mieszkańców. Nie przewiduje się ograniczania dostępu do przestrzeni, w której będzie realizowany.

Kosztorys
Nazwa Opis Koszt
Budowa chodnika Budowa około 35 metrów chodnika z kostki bezfazowej o szerokości 1,5m oraz bocznego chodnika o szerokości 1m do istniejącego trzepaka 200 000,00 PLN
Budowa alejek parkowych Budowa około 40m alejki parkowej z żywicy o szerokości 1m 35 000,00 PLN
Wykonanie projektu parku Wykonanie projektu parku 100 000,00 PLN
Ławki jednoosobowe Zakup i instalacja 4 ławek jednoosobowych 20 000,00 PLN
Budka na książki Zakup i montaż budki na książki 4 000,00 PLN
Stolik szachowy Zakup i montaż stanowiska (stolika) do gry w szachy wraz ze stołkami 10 000,00 PLN
Kosz na odpady Montaż kosza na odpady wraz z utrzymaniem 3 000,00 PLN
Drzewa ozdobne Zakup i posadzenie 10 ozdobnych wiśni 20 000,00 PLN
Krzewy Zakup i posadzenie krzewów 4 000,00 PLN
Rabaty kwietne i rośliny cebulowe Założenie rabat kwietnych i posadzenie roślin cebulowych wraz z pielęgnacją 20 000,00 PLN
Elementy małej architektury Montaż elementów małej architektury parkowej urozmaicających zagospodarowanie ogrodu 10 000,00 PLN
Trawnik Urządzenie i pielęgnacja trawnika 10 000,00 PLN
Słup oświetleniowy Wymiana słupa oświetleniowego na lampę parkową 10 000,00 PLN
Analiza dendrologiczna Wykonanie analizy dendrologicznej istniejących drzew 4 000,00 PLN
450 000,00 PLN
Harmonogram działań
Nazwa Opis Data
Wykonanie projektu Wykonanie projektu zagospodarowania parku 2027
Realizacja parku Realizacja parku - budowa chodników, alejek parkowych i nasadzenia 2028

Galeria

powrót